Главная
Галерея
Статьи
Фототехника
Клуб



0000



Знать врага в...лицо

Nordbird




Категории: Бабочки и гусеницы
Общий профиль пользователя  Nordbird



Зарегистрирован: Декабрь 2009
Сообщения: 5
посмотреть галереи пользователя
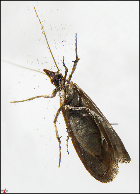
Амбарная моль, зерновая моль (Nemapogon granellus, или Tinea granella), бабочка семейства настоящих молей.
Крылья в размахе 9-14 мм, передние серебристо-серые с тёмными пятнами, задние серые или буроватые, с бахромкой.
Гусеница длиной до 10 мм, желтовато-белая. Встречается повсеместно в хранилищах и жилых домах. Повреждает зерно, семена, сухари, сухие грибы сухофрукты и т. д.
· Дата: (Чт) 17 Декабрь 2009 · Просмотров: 2406
Географическое место съемки: подоконник
Дата / время съемки: 23.03.2009 17:28:26
  (добавить определение)
Ключевые слова: Знать врага в...лицо
 
Ссылка на иконку изображения:     еще
  Комментарии...
Общий профиль пользователя Фото-галерея   RVV    
    Thumbs Up!
      (Чт) 17 Декабрь 2009 15:02:18          

  Query time: 1.183 / 1.183 sec.

В магазине мебели Бергенсон Борн Вы можете купить стул Bergenson Bjorn, а также вешалки, светильники этого бренда. Доставка по России по цене транспортных компаний.



2005-2025 © MacroID.RU